DC-3 Airways Virtual Airline
Local Time:
ZULU Time:

DC-3 Airways

This is a Flight Sim Select Site

VOR Navigation - Part III

Benjamin Counter Returns

I was enjoying a fine meal at Ashford by the Sea in Hampton, N.H. The Boss had told me to have a good dinner during my layover in coastal New Hampshire. "The tab’s on me," he said. My cellphone rumbled. I glanced about at the nearby diners all of whom had grown silent at the sight of my cellphone. "Yes?" I whispered into the mouthpiece.

"I want to get to Concord first thing in the morning," the voice boomed from the other end. It was Counter.

In the past he called the Boss when he wanted to charter. Then he got my home-phone number and called me direct. The Boss had told me to accommodate Counter whenever it was feasible. He'd bill him later. Now Counter had my cell number. What was next?

"Concord?" I asked rather foolishly.

"Yeah, I'm at Pease Int'l. Tradeport in Portsmouth and saw your plane parked by the General Aviation terminal. I have to get to Concord to thank President Franklin Pierce," he answered.

That really set me back. Pierce, our 14th President, had died in 1869. "I don't believe he'll be able to see you," I wise-cracked.

"Don't be funny," Counter rejoined. "Eight-A.M. at the airport," and he hung up.

What did Counter have in common with Pierce, I wondered? A quick look on the Internet later was of little help. A Democrat and our most obscure President, Pierce was from Concord, N.H. Did Counter hate lawyers? Pierce was oft quoted from his inaugural speech, "In a body [like Congress] where there are more than one hundred talking lawyers, you can make no calculation upon the termination of any debate."

No, there had to be something more. Then it started to come to me. Pierce was a 'Northerner with Southern principles.' He favored slavery which so angered his followers that many broke away and formed the Republican Party. Counter wanted to thank him for his contribution to the formation of the Republican Party.

Pierce's popularity wasn't helped by the Whig opposition's campaign rhetoric: "Hero of many a well-fought bottle."

I set my alarm and went to bed.

The Flight, KPSM to KCON Your flight is from Pease Int'l Tradeport, Portsmouth, N.H. to Concord (N.H.) Muni Airport. A strong cold front came through a few hours ago, leaving crystal-clear skies and a very strong wind of 28 kts. from 345°. You will depart from Runway 34, intercept the Concord 119° radial and land at Concord on Runway 35. The distance between the two cities is 31 nm. Pease field elev. is 98 ft., and Concord is at 344 ft. Cruise at 4500 ft. Flight time is about 22 minutes.

Before departure, set your Nav 1 receiver to 112.90 MHz, and the OBS to 299°—the reciprocal of the CON VOR 119° radial. Be aware that the CON VOR is about 3.5 NM past the field if you are tracking the distance from Pease with your DME. Set a 28 kt wind from 345° into your Flight Simulator weather page.

Pease to Concord. Click image for full size.

Where am I?

With the plethora of Navaids dotting the landscape these days, it's getting harder and harder to get lost. But we pilots are an ingenious lot. No matter how closely the FAA, or its equivalent in other countries, spaces Navaids to protect us against ourselves, we continue to outwit them. We don't get lost, of course. Pilots simply don't get lost—it's just that none of the landmarks within the range of our vision happen to be on our chart. We certainly intend to talk to the authorities about these poorly-marked charts once we land, that is if we can find the correct airport—or any airport.

There is hope. With a VOR receiver fixing one's location takes only moments.

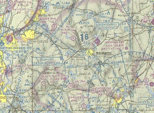
We're somewhere on this section of the chart. Click image for full size.

We locate our position by triangulation. We'll use the Hartford, HFD, 114.9 MHz VOR to the west and the Norwich, ORW, 110.0 MHz VOR to the east as our reference points.

Select either HFD or ORW as your first reference, it makes no difference. We'll use Hartford.

The Nav receiver is set to the HFD VOR, 114.9 MHz, the ident switch is on, and we've
rotated the OBS until the needle is centered with the FROM flag showing. The index card and
digital readout shows that we are on the 065° radial from HFD. Remember, the aircraft
heading does not affect determining the radial from a VOR if you center the needle with
the FROM flag showing.

You can prove this to yourself on your Flight Simulator. Position your aircraft within receiving range of any VOR, but not too close, then determine the radial from the VOR by centering the needle with the FROM flag showing, and then fly the aircraft in any heading, observing that the needle doesn't significantly change other than the normal movement from crossing radials.

With this information, we'll draw the 065° radial from HFD on the chart.

We're somewhere on the 065° radial of HFD.

Now repeat the procedure using the Norwich VOR.

The Nav receiver is set to the ORW VOR, 110.0 MHz, the ident
switch is on, and we've rotated the OBS until the needle is centered
with the FROM flag showing. The index card and digital readout
shows that we are on the 340° radial from ORW.

With this information, we'll draw the 340° radial from ORW on the chart.

See, pilots don't get lost - we're at the intersection of the two radials.

Important Note: One obtains the greatest position accuracy when the angle between the two reference VORs is 90°. In this case, the angle is 085° (065° – 340° which becomes 065° + 20°).

Where am I on the Airway?

The procedures just described are useful if a pilot becomes disoriented or lost, but hopefully that is a very infrequent experience. A much more common situation is the desire to locate your position along a Victor airway when it is a long distance between VORs or to an intersection. This is especially true when flying IFR and ground features are not visible.

Route of flight, V270 to V489. Click image for full size.

Assume that your route of flight takes you westward from Chester VOR (279°, CTR, 115.1) via V270 to AGNEZ intersection (222°, ALB, 115.3) where you turn south on V489. It is 56 nm from Chester to AGNEZ. Flying time (no wind) in the Cessna Nav Trainer with a 110 kt cruise is about 31 minutes from station passage to that intersection. Monitoring progress along a long, straight flight path provides an excellent opportunity to determine your ground speed and the head- or tail-wind component.

The Nav receiver is tuned to Albany VOR, 115.3, ident switch is on, and the needle has been centered on the 175° radial from ALB. Since we are flying on V270 we needn't draw the full radial down from Albany VOR—just a tick mark where it crosses our flight path will show where we are.

There we are, at the intersection of the two radials. Click image for full size.

IFR charts are useful for more than just IFR flights. Consider the Chester to AGNEZ route via V270 on chart L-25. Notice how many intersections there are along the route. These are convenient checkpoints during a flight. The radials are already printed on the chart, it's simply a matter of tuning in Albany VOR on 115.3 MHz, and setting the OBS for the appropriate radial, making certain that the FROM flag is showing. Then you can map your progress along V270 from Chester to AGNEZ intersection, at which point the flight plan requires a left turn to intercept V489.

There's even an NDB immediately on the flight path so that's one more checkpoint of your progress. Just tune the ADF to 272 KHz, Philmont, PFH and note station passage.

Your next flight will be Chester to AGNEZ. Fly it with the IFR chart. Click here to print that chart.

IFR chart showing V270, Chester to AGNEZ.

The flight will begin at Barnes Muni Airport, KBAF, in Westfield, Mass., 13 nm southeast of Chester VOR. Intersections will be from Albany VOR, 115.3 MHz.

  1. Set 30 kt wind from 150° into your flight simulator.
  2. Using your virtual E6-B, calculate WCA for this 30 kt wind from 150°, cruise at 110 kts, magnetic course; 279°.
  3. Tune Nav to Chester VOR, CTR, 115.1 MHz.
  4. Take-off from Barnes Muni Airport, KBAF, Runway 15. Turn left then direct to Chester VOR. Reset timer.
  5. Climb to 4000 ft.
  6. At Chester VOR, intercept V270 westbound. Start Timer.
  7. Apply calculated Wind Correction Angle.
  8. Cruise at 110 kts IAS.
  9. Log the time when passing the following intersections (NOTE: You will use both Nav2 and your DME to identify intersections):
    • STELA
    • ATHOS ... At ATHOS Climb to 6000 ft.
    • ACOVE
    • AGNEZ
  10. Terminate flight after passing AGNEZ—Stop Timer.

Benjamin Counter's Unlikely Friend

This was the highlight of the year, the annual convention of the New England chapter of the Charter Pilots of America. It was at the Biltmore, Providence, Rhode Island's grand dame of hotels. The Boss grudgingly gave me the time off—not because he wanted to, but to keep his pilots current on the latest regulations and procedures emanating from Washington. The convention was nearing its end after two days of updates and seminars on issues affecting charter pilots. Tonight's formal dinner-dance nicely capped everything off. I was in my hotel room struggling with my bow tie—real, not clip-on, when a knock sounded on the door. I glanced at my watch, congratulating myself on knowing the perfect corsage arrangement to compliment my companion’s gown.

I called to the delivery person to bring in the flowers and froze when an all-too familiar voice boomed "Good evening!"

It was Counter.

"I see we’re just in time," he went on before I could utter a word.

"We are?" I said in amazement.

"Yes," Counter replied, a broad grin on his face. "You won’t need the bow tie or the monkey suit—we have to leave in forty-five minutes to get to the meeting on time."

"I have other plans tonight," I said, returning to the task of tying my bow tie.

"The Boss said you might say some nonsense like that—told me to tell you to call him if you had any problem doing the charter. Said something about seminars being a waste of time and money, anyway" Counter finished.

"Where we going?"

"Worcester—they’re doin a special memorial on a classmate of mine—Abbie Hoffman."

I was stunned. "The Abbie Hoffman," I asked, "of the Chicago Seven?".

"Yes, of course," Counter replied, confused that I would ask. "Is there another?"

I looked at Counter again. Yeah, he was about the right age.

Abbie Hoffman, the leader of the Yippies, Youth International Party, organized the nation's youth through media stunts. He had been in Chicago to disrupt the 1968 Democratic Convention in protest of the Vietnam War. Among other things, he had pledged to spike the entire city's water supply with LSD. It was technically an impossible feat, but nonetheless the city surrounded the reservoir with armed guards.

The anti-war demonstrations became violent and Hoffman, with other leaders, was arrested, leading to the famous Chicago Seven trial. He went underground but ultimately was imprisoned. Following his release he became increasingly unstable and committed suicide in 1989.

I looked at Counter again, wondering what this business leader could have in common with Abbie Hoffman. Because of all of the acid and drugs that had been done during those years the Hippies' famous underground slogan came back to me:

If you can remember the 60's,
you weren't really there!

I glanced at my watch again. Leaving now, I could still be back in time for dessert and the dance. "I have a phone call to make and we'll go," I said, reaching for the phone.

The Flight, KOQU to KORH This flight, from Quonset State Airport, KOQU, in North Kingstown, R.I. to Worcester, Mass., KORH, draws on a number of NDB and VOR navigation procedures that you have learned so far. Your cruise speed will be 110 kts, and climb at 90 kts. Total distance is 51 nm. It's a fun flight because you do something different on each leg. Here are the details:

Quonset to Worcester - Click image for larger view

This flight, from Quonset State Airport, KOQU, in North Kingstown, R.I. to Worcester, Mass., KORH, gathers together many of the lessons learned so far relating to both NDB and VOR Navigation. It?s an interesting flight because the navigation requirements of each leg are different. There are five legs labeled A to E on the KOQU-KORH Route Map. Your cruise speed will be 110 kts, and climb should be 90 kts. Total distance is 50 nm. Your cruise altitude will be 3000 ft. Turn on all aircraft lights for the departure, and switch off the landing and taxi lights after takeoff. The flight is about 30 minutes.

Before you begin your flight, tune your ADF receiver to 241 kHz, your Nav-1 receiver to 115.6 MHz and your Nav-2 receiver to 110.90 Mhz. Also tune your Standby Nav-1 Receiver to 117.4 MHz. Set the OBS of VOR-2 to 289°. You will set VOR-1 OBS during the flight. Turn off the MKR Receiver.

It is highly recommended that you print the Route Map from the link in the main text. It is also recommended that you assemble a flight log, with the times for each leg calculated. There is no wind in this flight so the time calculations are quite simple.

This will be a VFR flight, but a Night Flight (Alt-W-T and click on ?Night?). Many aviation professionals believe that night flights should exclusively be IFR.

  1. Depart from Rwy 34, Quonset State Airport, KOQU, just south of Providence.

  2. Leg A, 7 nm … Fly inbound to PVD VOR, 115.6 MHz, climbing to 3000 ft. Center the VOR-1 needle with your OBS on takeoff, verifying that the TO flag is showing. That will be your course to PVD.

  3. Leg B, 12 nm … At PVD VOR you will continue on Leg B via NDB navigation. Your ADF needle will indicate the course to fly direct to SFZ NDB, 241 kHz.

  4. Leg C, 18.5 nm … At SFZ NDB turn to a course of 358° and fly outbound still relying on NDB Navigation. Your ADF will point behind you, to 178°. Swap the Active and Standby frequencies on Nav-1 so 117.4 Mhz is active. Set the VOR-1 OBS to 049°. When the VOR-1 needle centers you are at the waypoint for the left turn to intercept the approach path to Worcester’s Rway 29. Nav-2 should already be tuned to 110.9. That is the ILS frequency for Runway 29 into Worcester, but we are not going to fly the ILS, but rather track it in as if it were a VOR signal.

  5. Leg D, 4.3 nm … At the waypoint just identified when the VOR-1 needle centered, turn left to 320° and descend to 2600 ft. Leg D is very short, only 4.3 nm, so be alert for the centering of the VOR-2 needle which will indicate that you are on the approach path for Runway 29 of Worcester. You should begin your left turn to the runway approach path before the needle is centered.

  6. Leg E, 8 nm … Once you have made your turn onto the final approach path to Runway 29 slow your aircraft and make a normal landing, keeping the VOR-2 needle centered. Don’t forget to turn your landing and taxi lights, too. Be alert, Worcester field elevation is 1009 ft.

  7. NOTE: The OBS knob does not affect needle position when flying with an ILS signal. However, it is wise to rotate the

  8. OBS to your desired Approach course, 289°, as you did at the beginning as a reminder of the final approach course.

OK! Congratulations for a safe trip. Now click on the VOR Approaches button immediately below to learn how to land using the VOR when in the soup.

Site best viewed at 600 × 800 resolution or higher.
© 1999 – 2008, Charles Wood.